



📍ĐẤT Ở THỔ CƯ, MẶT TIỀN NHỰA TÂY LÂN 2
Đường Bà Điểm 5, Xã Bà Điểm, Huyện Hóc Môn, TP Hồ Chí Minh, Huyện Hóc Môn, TP Hồ Chí Minh
Mô Tả Chi Tiết
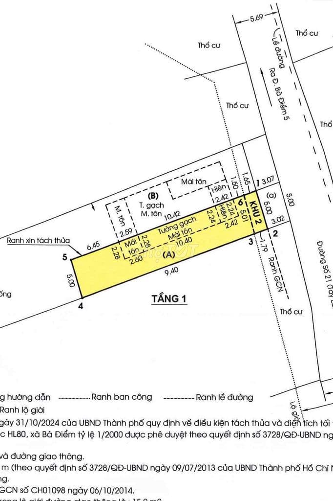
Dự án: Thông tin chi tiết: 📍LÊN SÓNG LÔ ĐẤT | XÃ BÀ ĐIỂM | ĐƯỜNG NHỰA THÔNG | GIÁ 5.85 TỶ • Diện tích: 5m x 28m, khu đất dài đẹp, dễ xây dựng. • Vị trí: thuộc xã Bà Điểm, gần chợ Bà Điểm, khu dân cư hiện hữu. • Đường nhựa thông, giao thông thuận tiện, xe ô tô di chuyển dễ dàng. • Khu vực dân cư đông đúc, phù hợp xây nhà ở hoặc đầu tư lâu dài. • Pháp lý: đất thổ cư, khu vực xây dựng ổn định. Liên hệ để xem đất và được tư vấn pháp lý. #datbadiem #xabaddeim #datgancho #dathocmon #bandathocmon #datthoqucu #batdongsanhocmon #datdepbadiem #muabandat #datxaydung #datgiatot Nguon: chotot_api | Dang ngay: 01/04/2026 | URL goc: https://www.chotot.com/mua-ban-bat-dong-san/131520441.htm
Tiện Ích Nội Khu
Vị Trí Trên Bản Đồ
Chưa có tọa độ bản đồ
Đường Bà Điểm 5, Xã Bà Điểm, Huyện Hóc Môn, TP Hồ Chí Minh, TP Hồ Chí Minh
TitanHome
Chuyên viên tư vấn cao cấp
Bất Động Sản Tương Tự

Cho thuê văn phòng co-working Đ. Hàm Nghi, Q. Cầu Giấy, Tp. Hà Nội
location_onQ. Cầu Giấy, Tp. Hà Nội

Cho thuê tòa nhà văn phòng Đ. An Thượng, Q. Sơn Trà, Tp. Đà Nẵng
location_onQ. Sơn Trà, Tp. Đà Nẵng

Cho thuê văn phòng co-working Đ. Điện Nước, Q. Kiến An, Tp. Hải Phòng
location_onQ. Kiến An, Tp. Hải Phòng